Mannschafts-Unterkunft
Das Gebäude Nr. 58 wurde in seiner ursprünglichen Form 1935/36 errichtet. Hier wurden vermutlich Bauarbeiter untergebracht. Mit dem Fortschreiten der Bauarbeiten wurden mehr und mehr Arbeiter auf den Baustellen im Oelhof beschäftigt. Mit dem Aufbau des „Bau-Lagers“ an der Breetzer Str. wurden noch mehr Unterkünfte geschaffen. Die Gebäude an der Dahlenburgerstr. dienten dann vermutlich zur Unterbringung der Verwaltung des Öllagers. Hier befanden sich auch die Diensträume des „Marinebauamt Öllager“ des Hafenbauressort V, der Amtsgruppe Hafenbau (Oberkommando der Kriegsmarine BBB V) – hier wurden bis 1939 die Planungsarbeiten für den Bau des Kriegsmarinetanklagers Bremen Farge durchgeführt.

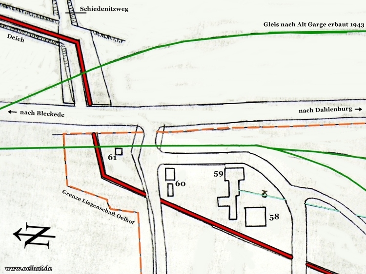
Weitere Gebäude in dieser Skizze sind:
Nr. 59 Die „Waldhalle“, Nr. 60 Hauptwache, Verwaltung, Nr. 61 Gleiswaage
Während der gesamten Bautätigkeiten im Oelhof hatte das Thema der Unterbringung eine große Bedeutung. Angestellte und Arbeiter im Oelhof wählten immer wieder die Möglichkeit als Untermieter ein Zimmer in Bleckede zu beziehen. Dabei scheint weniger die Qualität der Wohnräume als überhaupt die Verfügbarkeit eine Rolle gespielt zu haben. Nach 1939 waren Landesschützen zu Wachaufgaben im Oelhof eingesetzt. Diese waren im Saal eines Gasthofes in Bleckede untergebracht weil vor Ort keine Unterbringungsmöglichkeit mehr bestand.
Über die Nutzung dieser Gebäude in der Zeit von 1945 bis 1948 liegen bisher nur sehr wenig Informationen vor. Ab 1948 wurde das Gebäude Nr. 58 als Männerstation in der neu gegründeten Lungenabteilung Bleckede/Oelhof des städt. Krankenhauses Lüneburg genutzt.

Das Bild oberhalb stammt aus dem Jahr 1958 und zeigt das Gebäude Nr. 58 in seiner ursprünglichen Form. 1959 erfolgte ein Umbau und die Angliederung an die anderen Gebäude im Krankenhaus.
Im April 1989 wurde die 2. Medizinische Abteilung in Bleckede geschlossen. Anschließend wurde das Krankenhaus als Notunterkunft für Übersiedler nach der Grenzöffnung im November 1989 genutzt. Seit dem Jahr 2000 standen alle Gebäude im Oelhof wieder leer. Pläne zum Verkauf der Liegenschaft wurden geschmiedet und wieder verworfen. Bürger, auf der Suche nach „Wertstoffen“ und Randalierer erledigten dann den Rest im Laufe der folgenden Jahre. Mehrere Einsätzen der Feuerwehr erfolgten im ehemaligen Oelhof in Bleckede die Brandursache war jeweils Brandstiftung.
Im Juli/August 2008 wurden alle Ruinen auf dem Gelände des ehemaligen Krankenhaus Bleckede abgerissen. Alle Trümmer wurden anschließend entfernt.


.
weitere Gebäude in dieser Rubrik sind:




