Ehemalige Hauptwache, Verwaltungsgebäude
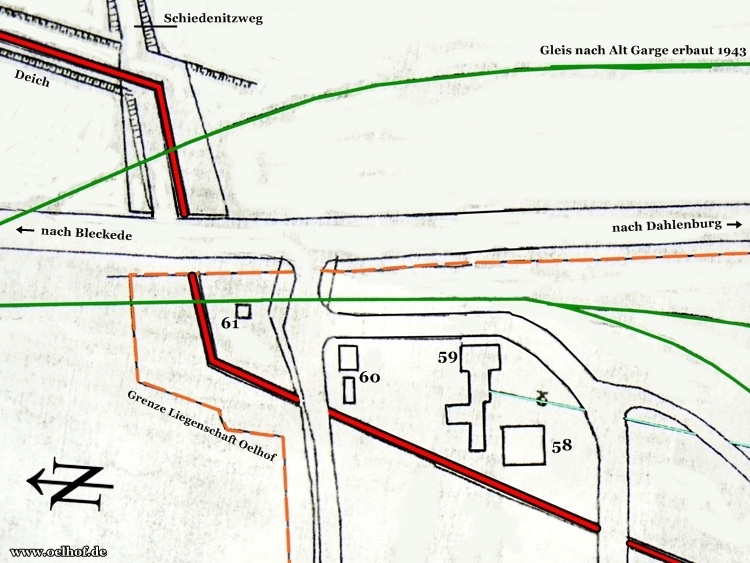
Dieses Haus wurde 1935/36 erbaut. Es diente als Wachgebäude am Eingang des Marinenachschublagers. Aus dem vorderen Raum heraus hatte man die gesamte Einfahrt und das Bahngleis im Blick. Das Tor am Wachgebäude stand am ersten von insgesamt zwölf Toren über die ein Zugang in den Oelhof möglich war. In direkter Nähe zur Wache befand sich eine Gleiswaage (Nr. 61). Hier konnte das Gewicht ankommender oder abgehender Güterwagen festgestellt und in die Begleitpapiere eingetragen werden. Teile der Verwaltung und die Registratur des Nachschublagers waren ebenfalls in diesem Gebäude untergebracht. Weitere Wachgebäude befanden sich an den Toren am südlichen und nördlichen Eingang der Breetzer Straße.

Weitere Gebäude in dieser Skizze sind:
Nr. 58 Mannschaftsunterkunft, Nr. 59 „Die Waldhalle“, Nr. 61 Gleiswaage

Nach 1948 wurde das Wachgebäude zum Pförtnergebäude des Krankenhauses in Bleckede. In den ersten Jahren des Krankenhauses bot das Gebäude Wohnraum für Mitarbeiter, auch wurden hier Teile der Verwaltung untergebracht – wieder Nutzung als Verwaltungsgebäude.
Als die Anlage als Krankenhaus genutzt wurde, gab es über den ursprünglichen Namen der Liegenschaft keine Diskussionen. Die ursprünglich von der Kriegsmarine für ihre Tanklager benutzte Bezeichnung wurde einfach für die Abteilung eines Krankenhauses übernommen.


Im Jahre 1950/52 (Bild Nr. 4) ist der Eindruck einer ehemaligen militärischen Anlage noch sehr deutlich sichtbar. Der Zaun im Hintergrund umfasste ursprünglich das gesamte Oelhof-Gelände. Zum Zeitpunkt der Aufnahme waren die Betonpfähle bereits um das neue Krankenhausgelände herum eingesetzt worden. Das Haupttor ist hier noch im „Originalzustand“. Auf dem Schild am Eingang standen untereinander die Worte: „Männerabteilung, Bleckede-Ölhof, Aufnahme“

Später veränderte sich der Text am Eingangstor. Der Name Ölhof als Ortsbezeichnung in Bleckede blieb bestehen. Lesen Sie dazu auch: das Krankenhaus.

Im April 1989 wurde das Krankenhaus in Bleckede geschlossen. Anschließend wurden die Gebäude als Notunterkunft für Übersiedler nach der Grenzöffnung genutzt. Ab Mitte der 90er Jahre standen die Gebäude leer. Ein neuer Besitzer und ein Nutzungskonzept wurden gesucht. Leider fanden sich keine Käufer und die Gebäude verfielen rasch.
Im Juli/August 2008 wurden alle Gebäude auf dem ehemaligen Krankenhausgelände abgerissen. Unter dem ehemaligen Gebäude Nr. 60 befanden sich zwei besonders geschützte Kellerräume (Schutzräume). Sowohl die Kellertüren, als auch die Kellerfenster waren mit Stahltüren gesichert. Nachdem die Fundamente entfernt waren, wurde die Fläche auf der sich das Gebäude befand planiert.
.
weitere Gebäude in dieser Rubrik sind:








